Melissa Kasırgası'nın neden olduğu sel sonucu Haiti'de 25 kişi öldü
Haiti'nin güneyinde, Melissa Kasırgası'nın neden olduğu sel sonucu nehrin taşması sebebiyle 25 kişi yaşamını yitirdi.
DÜNYA
Paylaş
30.10.2025 11:09
43 okunma
Haiti'nin güneyinde, Melissa Kasırgası'nın neden olduğu sel sonucu nehrin taşması sebebiyle 25 kişi yaşamını yitirdi.
 
Haiti'nin güneyindeki kıyı kasabası Petit-Goave'nin Belediye Başkanı Jean Bertrand Subreme, La Digue Nehri'nin taşması ve çevredeki evleri su basması sonucu 25 kişinin öldüğünü bildirdi.
Çarşamba sabahı itibarıyla onlarca evin yıkıldığını ve insanların halen enkaz altında mahsur kaldığını belirten Subreme, hükümete insanların kurtarılması için yardım çağrısı yaptı.

Kasırganın etkili olduğu diğer bir ülke Jamaika'da da yaklaşık 25 bin kişi sığınaklara tahliye edildi.

Jamaika Eğitim Bakanı Dana Morris Dixon, Ada'nın yüzde 77'sinde elektrik kesintisi olduğunu ancak su sistemlerinin kasırgadan büyük ölçüde etkilenmediğini söyledi.

Hükümet yetkilisi Fitz-Henley, bir yerel radyo istasyonuna verdiği demeçte, ülkenin batısında bir ağacın bebeğin üzerine düşmesi sonucu en az bir kişinin öldüğünü aktardı.

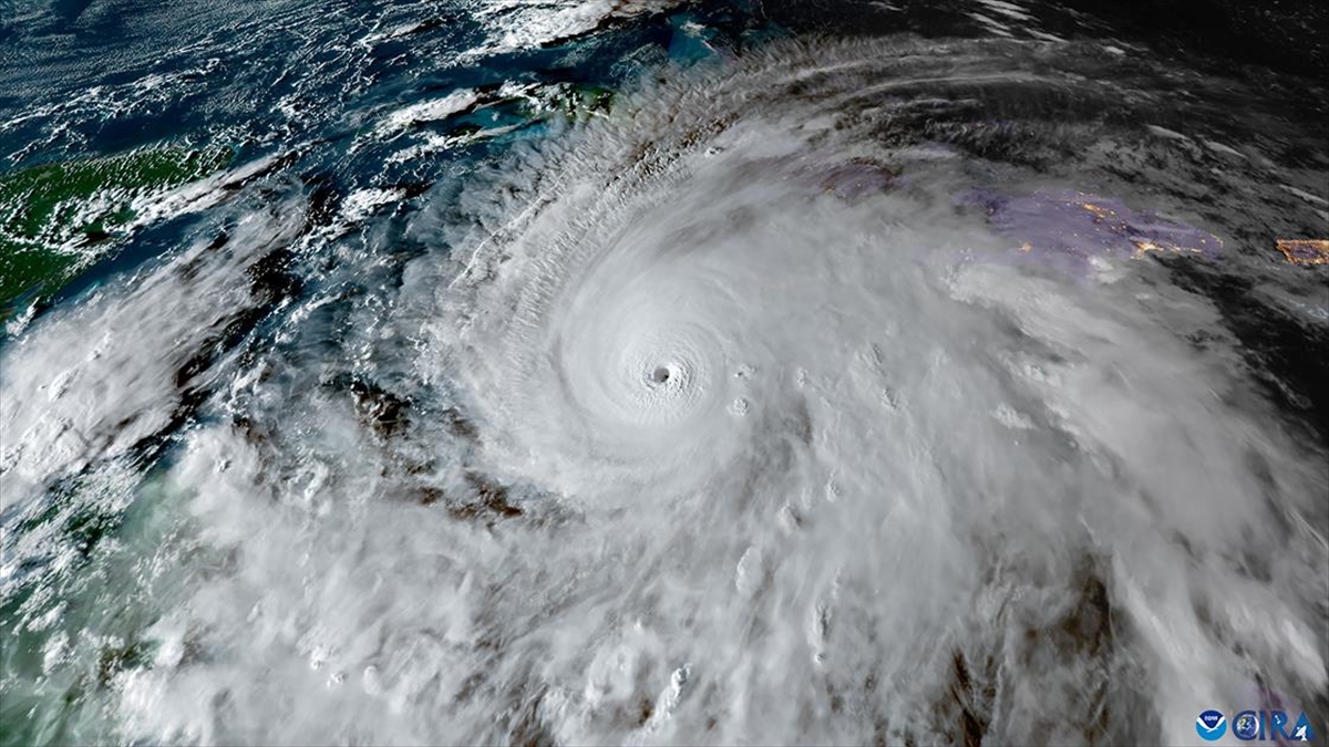
Hızı saatte 295 kilometreye kadar çıkan ve şiddetinin, en tehlikeli seviye anlamına gelen "5. Kategori"ye yükseldiği belirtilen Melissa Kasırgası, Haiti, Jamaika ve Küba’da etkili olmaya devam ediyor.

Şiddetli yağış, fırtına ve sel baskınlarına neden olan kasırga nedeniyle Küba Devlet Başkanı Miguel Diaz Canel, ülkede 735 binden fazla kişinin tahliye edildiğini bildirmişti.

ABD, Karayipler'e yardım ekibi gönderdi

Associated Press'e (AP) adlarını vermeden konuşan ABD Dışişleri Bakanlığı yetkilileri, Atlantik üzerinde oluşan ve Karayipler'de etkisini gösteren Melissa Kasırgası'na ilişkin açıklamada bulundu.

Yetkililer, kasırganın yol açtığı yıkımla mücadele kapsamında Karayip ülkelerine arama kurtarma ekipleri de dahil olmak üzere afet yardım görevlilerinin gönderildiğini ifade etti.

Yardım ekiplerinin bölgeye doğru yola çıktığını belirten yetkililer, 24 ila 48 saat içinde Jamaika, Bahamalar ve Dominik Cumhuriyeti'ne varmalarının beklendiğini kaydetti.

 

 

Yorum Ekle
Adınız :
Başlık :
Yorumunuz :

Dikkat! Suç teşkiledecek, yasadışı, tehditkar, rahatsız edici, hakaret ve küfür içeren, aşağılayıcı, küçük düşürücü, kaba, müstehcen, ahlaka aykırı, kişilik haklarına zarar verici ya da benzeri niteliklerde içeriklerden doğan her türlü mali, hukuki, cezai, idari sorumluluk içeriği gönderen Üye/Üyeler’e aittir.
::::::::::::::::::::::::::::::::::::::::::::::::::::::::::::::::::::::::::::::::::::::::::::::::::::::::::::::::::::::::::::::::::::::::::::::::

sanalbasin.com üyesidir

ANA HABER GAZETE
www.anahaberyorum.com
İşin Doğrusu Burada...
İLETİŞİM BİLGİLERİMİZ
BAĞLANTILAR
KISAYOLLAR
anahaberyorum@hotmail.com
0312 230 56 17
0312 230 56 18
Strazburg Caddesi No:44/10 Sıhhiye/Çankaya/ANKARA
Anadolu Eğitim Kültür ve Bilim Vakfı
Anadolu Ay Yayınları
Ayizi Dergisi
Aliya İzzetbegoviç'i
Tanıma ve Tanıtma Etkinlikleri
Ana Sayfa
Yazarlarımız
İletişim
Künye
Web TV
Fotoğraf Galerisi
© 2022    www.anahaberyorum.com          Tasarım ve Programlama: Dr.Murat Kaya